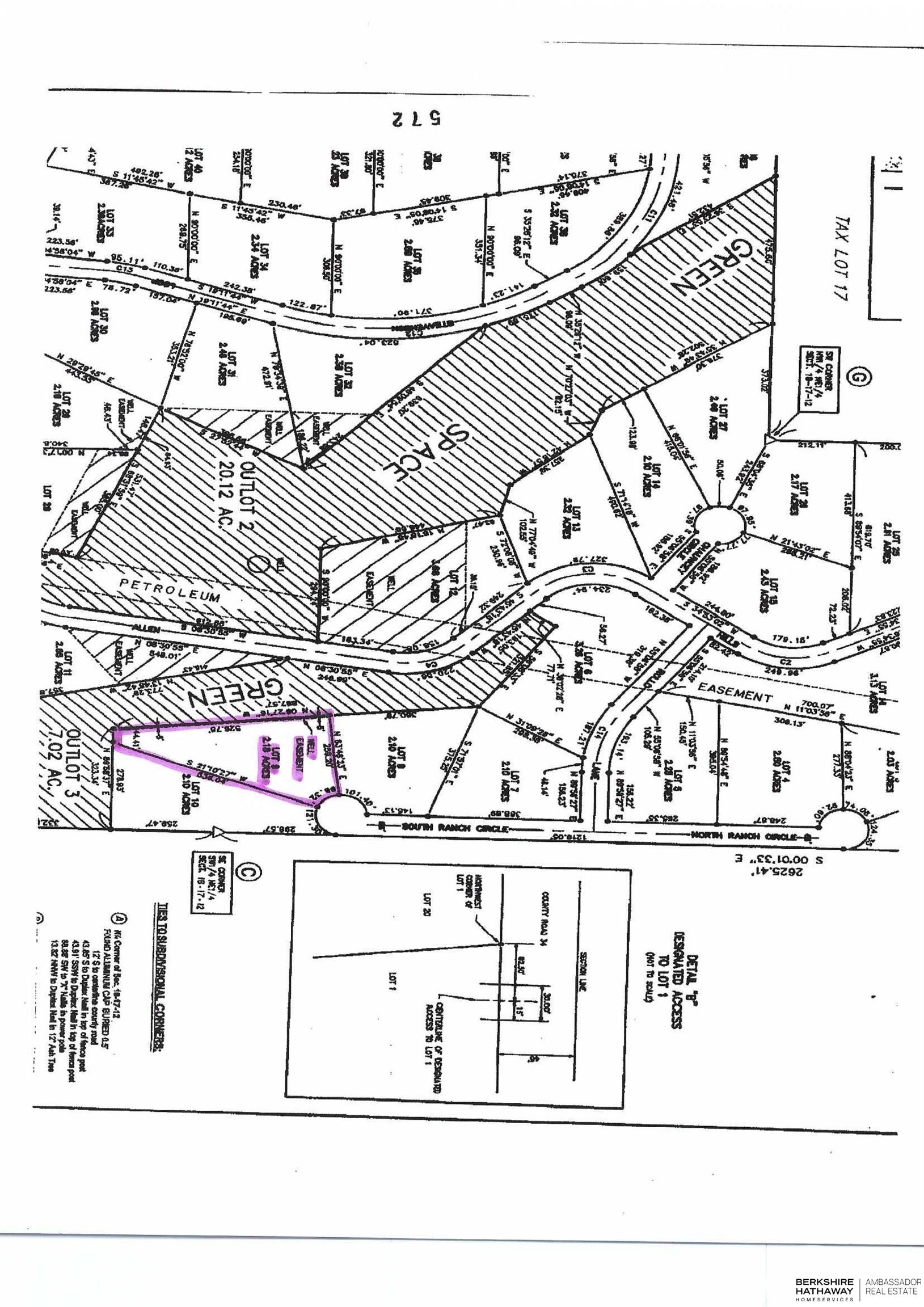
Lot 9 Allen Hills

Blair NE, 68008
Land
2.1800 Acres
Allen Hills

About Lot 9 Allen Hills

MLS ID#22602082
Listing courtesy of: BHHS Ambassador Real Estate


The last remaining lot in Allen Hills, Lot 9 is a rare offering in one of Blair's most desirable established neighborhoods. Set among beautiful custom homes and backing to 57 acres of Audubon wildlife refuge, it delivers the privacy, natural beauty, and convenience discerning buyers are searching for. For those relocating form Omaha or Elkhorn, it offers the added appeal of of staying connected to familiar schools and city access while enjoying more land, more peace, and more freedom. Opportunities like this are hard to find: a private setting, a breathtaking natural backdrop and room for chickens. a 2 acre lot designed entirely around the life you want to live.

Facts & Features

Lot Size
2.1800 Acres
Sub Division
Allen Hills
School District
Blair
Elementary
Blair
Middle School
Blair
High School
Blair

Mortgage Calculator

Est. Mo. Payment:   $1,234.00

Loan Payment
$0000.00
Mortgage Insurance
$0000.00
Taxes
$0000.00
%

This is not a commitment to lend. Not all borrowers will qualify. This is for illustrative purposes only and estimates are based on information you provided. Interest rates, mortgage insurance rates, and programs are subject to credit approval and available rates and terms will vary, sometimes drastically, based on borrower eligibility and program selected. For accurate interest rates and mortgage insurance rates please contact your mortgage consultant. For illustrative purposes FHA/VA and USDA loan amounts will include an estimate for the financed upfront MI amount.

The data relating to real estate for sale or rent on this web site comes in part from participation in IDX of one or more Multiple Listing Services. The listing broker is shown on each property’s page. Some properties which appear for sale on this web site may subsequently have sold or may no longer be available. All information provided is deemed reliable but is not guaranteed and should be independently verified. IDX information is provided for consumers’ personal, non-commercial use, and may not be used for any purpose other than to identify prospective properties consumers may be interested in purchasing. Listing information copyright 2026.

Financing Contact
Copyright © 2026 Nebraska Realty. All rights reserved.       Terms of Service     Privacy Policy     Agent Login   Accessibility Statement